Согласно постановлению врио мэра Николая Хаблюка, в Кемерове запланировано застраивать ещё один микрорайон.
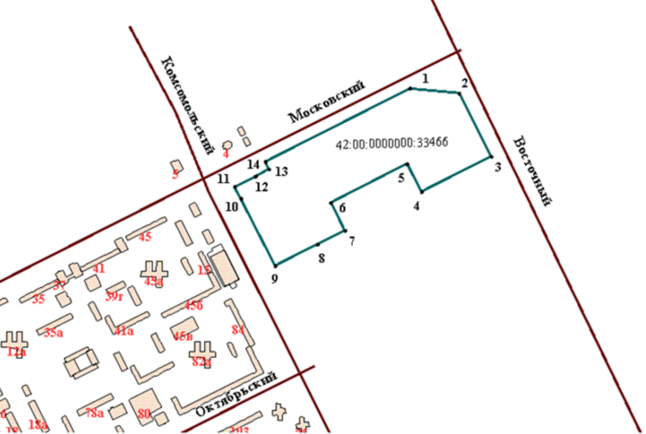
Так, комплексное развитие территории микрорайона 61/1 запланировано в Ленинском районе, площадь микрорайона составит 11 га, он появится в границах проспектов Комсомольский, Московский, Восточный и соседнего микрорайона 61/2.
Так, комплексное развитие территории микрорайона 61/1 запланировано в Ленинском районе, площадь микрорайона составит 11 га, он появится в границах проспектов Комсомольский, Московский, Восточный и соседнего микрорайона 61/2.
На территории разрешена многоэтажная застройка выше девяти этажей, коммунальная инфраструктура, школы, детсады, больницы, административные здания, общежития и прочее.
Предельный срок реализации решения о комплексном развитии территории – 10 лет со дня заключения договора с застройщиком.
Источник фото: Администрация города Кемерово
